סופר-טייפון בדרך לפיליפינים, מיליון כבר פונו: "תעזבו לפני שיהיה מאוחר מדי"
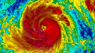
כוננות גבוהה במדינת האיים, שעדיין מתאוששת מנזקי סופה שהרגה 220 בני אדם. לפיליפינים תגיע היום סופה נוספת ועוצמתית יותר, “פונג-וונג”. 1.2 מיליון תושבים פונו מבתיהם, דיווחים על הצפות במזרח המדינה. הממשלה מזהירה מגלים גבוהים ומסכני חיים. בתי הספר במנילה לא ייפתחו, מאות טיסות בוטלו
מקור: חדשות YNET סופר-טייפון בדרך לפיליפינים, מיליון כבר פונו: "תעזבו לפני שיהיה מאוחר מדי"




